Better experience in portrait mode.
Iklan - Geser ke atas untuk melanjutkan
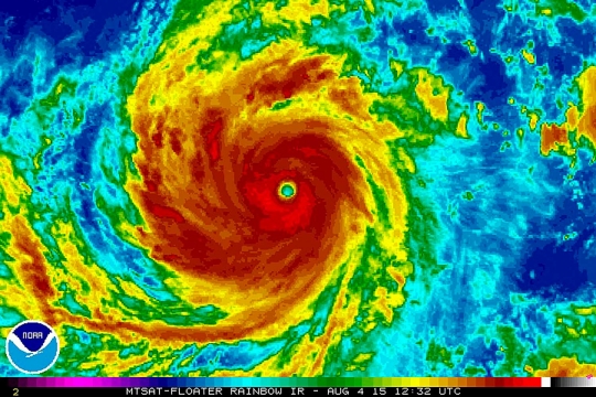
Ini penampakan topan terkuat di dunia dari satelit NASA dan NOAA

Ini penampakan topan terkuat di dunia dari satelit NASA dan NOAA

Bencana alam

merdeka.com
Geser ke atas untuk membaca
Ini penampakan topan terkuat di dunia dari satelit NASA dan NOAA

Sebuah gambar yang diambil dari satelit NASA pada Rabu (5/8) menunjukkan pergerakan Topan Super Soudelor di Samudera Pasifik yang berkembang menjadi badai terkuat dunia di tahun 2015.

Ini penampakan topan terkuat di dunia dari satelit NASA dan NOAA

Penampakan Topan Soudelor saat diambil dari satelit NOAA pada 03:43 GMT (4/8). Badai itu saat ini tengah menuju Jepang, Taiwan dan China setelah menghantam Pulau Marianas Utara.

Ini penampakan topan terkuat di dunia dari satelit NASA dan NOAA

Badai Topan Super Soudelor yang dahsyat ini memiliki kecepatan angin hingga 354 km per jam.

Ini penampakan topan terkuat di dunia dari satelit NASA dan NOAA

Menurut Pusat Peringatan Topan Gabungan (JTWC) menilai Topan Super Soudelor ini ditempatkan pada kategori maksimal yaitu di level lima. Yang merupakan badai terkuat tahun 2015. Menurutnya badai ini jauh lebih kuat dari Topan Pam yang pernah melanda Vanuatu di Pasifik, lima bulan lalu hingga menewaskan 15 orang.

BPBK Aceh Jaya Imbau Warga Waspada Tumpahan CPO Gunung Geurutee
BPBK Aceh Jaya Imbau Warga Waspada Tumpahan CPO Gunung Geurutee

BPBK Aceh Jaya meminta pengendara berhati-hati melintasi Gunung Geurutee karena tumpahan CPO yang sering terjadi, memicu kekhawatiran keselamatan di jalur vital ini.

Baca Selengkapnya
Wabup Sarolangun Ingatkan Warga Waspada Banjir Sarolangun Susulan, BMKG Prediksi Cuaca Ekstrem
Wabup Sarolangun Ingatkan Warga Waspada Banjir Sarolangun Susulan, BMKG Prediksi Cuaca Ekstrem

Pemerintah Kabupaten Sarolangun mengimbau warganya untuk tetap waspada Banjir Sarolangun susulan. BMKG memprediksi cuaca ekstrem masih berpotensi terjadi di wilayah tersebut.

Baca Selengkapnya
Wabup Sarolangun Ingatkan Warga Waspada Banjir Sarolangun Susulan, BMKG Prediksi Cuaca Ekstrem
Wabup Sarolangun Ingatkan Warga Waspada Banjir Sarolangun Susulan, BMKG Prediksi Cuaca Ekstrem

Pemerintah Kabupaten Sarolangun mengimbau warganya untuk tetap waspada Banjir Sarolangun susulan. BMKG memprediksi cuaca ekstrem masih berpotensi terjadi di wilayah tersebut.

Baca Selengkapnya
Pemkab Jayapura Tegaskan Penyaluran Bantuan Kolektif untuk Korban Banjir Danau Sentani
Pemkab Jayapura Tegaskan Penyaluran Bantuan Kolektif untuk Korban Banjir Danau Sentani

Pemerintah Kabupaten Jayapura memastikan penyaluran bantuan Jayapura bagi warga terdampak banjir Danau Sentani dilakukan secara kolektif, menjamin pemerataan dan akuntabilitas. Bagaimana mekanisme distribusinya?

Baca Selengkapnya
Pemkab Jember Tetapkan Status Siaga Darurat Kekeringan, Antisipasi Kemarau Ekstrem 2026
Pemkab Jember Tetapkan Status Siaga Darurat Kekeringan, Antisipasi Kemarau Ekstrem 2026

Pemerintah Kabupaten Jember menetapkan status siaga darurat kekeringan untuk menghadapi potensi kemarau ekstrem yang diprediksi BMKG mencapai puncaknya pada Agustus 2026.

Baca Selengkapnya
Pemkab Magetan Imbau Warga Waspada Cuaca Ekstrem Saat Pancaroba
Pemkab Magetan Imbau Warga Waspada Cuaca Ekstrem Saat Pancaroba

Pemerintah Kabupaten Magetan meminta masyarakat tetap waspada terhadap dampak cuaca ekstrem selama masa pancaroba, mengingat potensi bencana hidrometeorologi dan ancaman kekeringan.

Baca Selengkapnya
Pemkab Muara Enim Salurkan Bantuan Korban Puting Beliung di Tiga Kecamatan
Pemkab Muara Enim Salurkan Bantuan Korban Puting Beliung di Tiga Kecamatan

Pemerintah Kabupaten Muara Enim sigap menyalurkan Bantuan Korban Puting Beliung di tiga kecamatan terdampak, memastikan kebutuhan pokok warga terpenuhi pascabencana alam.

Baca Selengkapnya
BPBD Bangka Tengah Petakan Titik Rawan Karhutla, Warga Diminta Waspada
BPBD Bangka Tengah Petakan Titik Rawan Karhutla, Warga Diminta Waspada

BPBD Bangka Tengah telah memetakan sejumlah titik rawan Karhutla di wilayahnya guna mengantisipasi kebakaran hutan dan lahan saat musim kemarau, mengingatkan warga untuk lebih waspada terhadap potensi api.

Baca Selengkapnya
Ribuan Warga Seririt Ikuti Simulasi Kesiapsiagaan Bencana Buleleng, Tingkatkan Kewaspadaan Hadapi Potensi Bahaya
Ribuan Warga Seririt Ikuti Simulasi Kesiapsiagaan Bencana Buleleng, Tingkatkan Kewaspadaan Hadapi Potensi Bahaya

Lebih dari seribu warga Seririt, Buleleng, Bali, berpartisipasi dalam simulasi kesiapsiagaan bencana Buleleng, bertujuan membekali masyarakat dengan pengetahuan mitigasi dan respons cepat terhadap berbagai ancaman bencana.

Baca Selengkapnya
Pasaman Barat Pastikan Pembangunan Jalan Alternatif Talamau Dimulai 2026
Pasaman Barat Pastikan Pembangunan Jalan Alternatif Talamau Dimulai 2026

Pemerintah Kabupaten Pasaman Barat akan memulai pembangunan jalan alternatif Talamau pada 2026 untuk mengatasi kerusakan jalan utama akibat bencana alam, memastikan konektivitas wilayah dan kelancaran ekonomi.

Baca Selengkapnya
BMKG Peringatkan Potensi Cuaca Ekstrem, Banjir Landa Sarolangun Jambi
BMKG Peringatkan Potensi Cuaca Ekstrem, Banjir Landa Sarolangun Jambi

BMKG memprediksi cuaca ekstrem masih berpotensi melanda Kabupaten Sarolangun, Jambi, hingga tiga hari ke depan, menyusul banjir parah yang telah merendam ratusan rumah di wilayah tersebut.

Baca Selengkapnya
Potensi Karhutla Kaltim Meningkat, BMKG Deteksi 151 Titik Panas
Potensi Karhutla Kaltim Meningkat, BMKG Deteksi 151 Titik Panas

BMKG Stasiun Balikpapan mendeteksi 151 titik panas di Kalimantan Timur, menandakan potensi Karhutla Kaltim yang tinggi. Warga diimbau waspada dan tidak melakukan pembakaran sembarangan.

Baca Selengkapnya